AUSTRALIA

Acércate a los arrecifes de la Gran Barrera de Coral con un detalle sin precedentes

Por primera vez, los científicos han compartido los mapas del fondo marino de este valioso ecosistema de 1,5 millones de kilómetros cuadrados

Por primera vez, los científicos han compartido los mapas del fondo marino de este valioso ecosistema de 1,5 millones de kilómetros cuadrados UNIVERSIDAD JAMES COOK

NATURAL

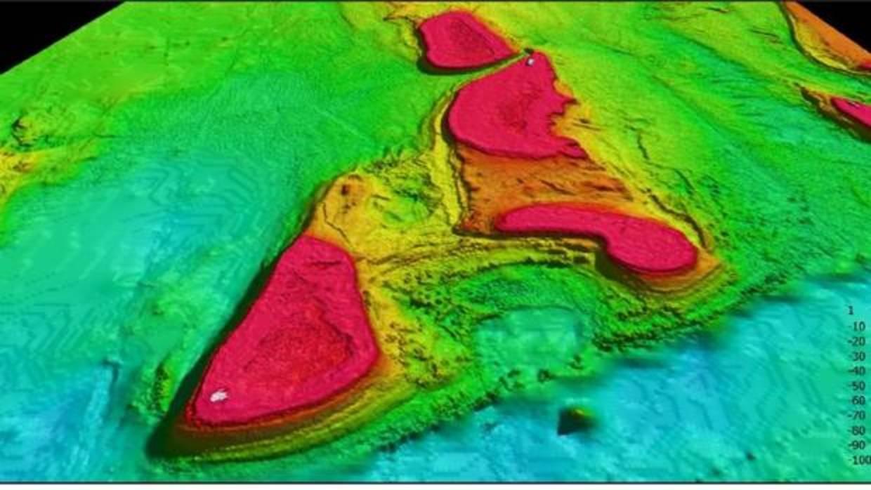
La Universidad James Cook (UJC) de Australia acaba de compartir, por primera vez, los mapas del fondo marino que muestran los 1,5 millones de kilómetros cuadrados de la emblemática Gran Barrera de Coral con un detalle sin precedentes.

«Estamos utilizando técnicas científicas de vanguardia para combinar datos batimétricos históricos y recientemente adquiridos (mapeo submarino o profundidad) de toda la costa norte de Australia», explica el líder de investigación, Robin Beaman, de la UJC.

«El conjunto de datos que hemos publicado contiene una resolución ocho veces mayor que la que estaba disponible anteriormente. Poseer un mayor conocimiento de la forma del arrecife será una herramienta crítica para las agencias gubernamentales responsables de su protección», subraya Stuart Minchin, el Jefe de la División de Geociencias Ambientales de la institución Geoscience Australia , que, junto al Servicio Hidrográfico de Australia, ha participado en la iniciativa.

Los datos de batimetría también suponen un insumo importante para la modelización oceanográfica: puede utilizarse para mejorar el conocimiento sobre los impactos del cambio climático , la biodiversidad marina y la distribución de especies. «También apoyará el modelado de mareas y corrientes oceánicas», detalla el científico.

Acércate a los arrecifes de la Gran Barrera de Coral con un detalle sin precedentes

Comparte esta noticia por correo electrónico
Reporta un error en esta noticia